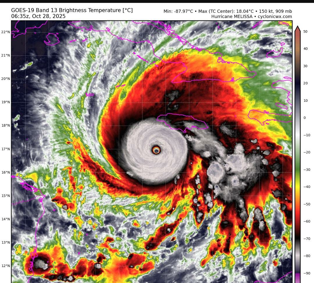
راصد ويذر - تشهد المنطقة المدارية في خليج المكسيك ( خليج أمريكا ) هذه الاثناء اعصار مداري يصنف من الدرجة الخامسة و هذا التصنيف الاخير في قوة الاعاصير و هو يعتبر من الاعاصير المدمرة و الخطيرة جدا ، حيث يتوقع ان يسلك اتجاه الاعصار نحو جزر جامايكا صباح الثلاثاء 28 اكتوبر بالتوقيت المحلي .

الإعصار ميليسا إلى فئة خامسة على مقياس سافير سيمبسون
سرعة الرياح المستمرة تقدر بنحو 280 كيلومتر في الساعة أو أكثر في بعض القياسات.
الضغط المركزي للإعصار انخفض إلى نحو 906 إلى 917 هكتوباسكال
اتجاه الاعصار :
يتحرّك ببطء غربي شمالي غربي نحو جامايكا مما يزيد من مخاطر الأمطار الغزيرة والفترات الطويلة من التعرض .
توقيت وصول الاعصار و مساره :
يتوقع أن يصل إلى جزيرة جامايكا صباح الثلاثاء بتوقيتها المحلي ، مسببا رياحاً قوية وأمطاراً غزيرة و فيضانات ، ثم يتحرّك نحو شرق كوبا ، وجزر الباهاما لاحقاً .
المخاطر الرئيسية تشمل:
فيضانات فجائية و انهيارات أرضية، خصوصاً في المناطق الجبلية.
عواصف بحرية وأمواج عالية على سبيل المثال، في جنوب كوبا هناك أمواج بين 2.5 و4 أمتار.
عواصف رياح قد تؤدي إلى تدمير واسع للمباني والبنى التحتية، وانقطاع التيار والمياه.
⚠️ تحذيرات مهمّة للمناطق المعرضة :
يُنصح سكان المناطق الساحلية والمنخفضة بــ الإخلاء الفوري أو الانتقال إلى ملاجئ مخصصة. (مثلاً في جامايكا تمّ فتح عدة مراكز إبداء استعداد).
يجب تأمين الأثاث الخارجي، نزع الزجاج (إذا أمكن)، وإغلاق النوافذ، والتأكد من وجود إمدادات طوارئ (ماء، طعام، بطاريات).
تجنّب التنقّل أثناء العاصفة، خاصة في الطرق الجبلية أو المعرضة للانهيارات، والبقاء في مكان آمن.
